Rif: VIA NOSADELLA CUORE DI BOLOGNA A POCHI PASSI DA P
BOLOGNA
BOLOGNA - zona Saragozza Dentro le Mura
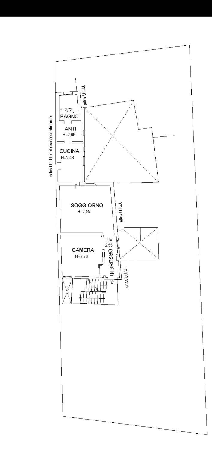
CENTRALISSIMO NEL CUORE DI BOLOGNA , VIA NOSADELLA IN PICCOLA PALAZZINA , PIANO 2° NO ASCENSORE , GRAZIOSO APPARTAMENTO SILENZIOSO E LUMINOSO DI RECENTO RISTRUTTURAZIONE , TOTALE MQ 71 , PARQUET E CERAMICA , PORTA BLINDATA , INFISSI NUOVI DOPPI VETRI , INGRESSO SU SALONE CON DOPPIA FINESTRA , UNA CAMERA MATRIMONIALE, CUCINA FINESTRATA COMPLETAMENTE ARREDATA NUOVA E DI PASSAGGIO PER ACCEDERE A CABINA ARMADIO , UN BAGNO NUOVO CON DOCCIA FINESTRATO . RISCALDAMENTO AUTONOMO ( CALDAIA NUOVA ) , ARIA CONDIZIONATA AUTONOMA CON SPLIT NUOVI , IMPIANTI A NORMA E SPESE CONDOMINIALI CONTENUTE . POSTO BICI NEL CORTILE DEL PALAZZO . UN PICCOLO GIOIELLO CON OTTIME FINITURE IN LOCATION STRATEGICA TRANQUILLA E SILENZIOSA VICINO A PIAZZA MAGGIORE E PIAZZA MALPIGHI . L'APPARTAMENTO CALDO ED ACCOGLIENTE E' STATO UTILIZZATO COME B&B CON RENDIMENTI MOLTO INTEESSANTI . DOTATO DI AUTORIZZAZIONI (CIN E CIR ) PER LOCAZIONI BREVI E TURISTICHE . OTTIMA OCCASIONE DI INVESTIMENTO ! PER VISITE (+39) 335 8330330 PAOLA EFRLINGHETTI REAL ESTATE
Consistenze
| Descrizione | Superficie | Sup. comm. |
|---|---|---|
| Principali | ||
| Immobile - 2° piano | 71 Mq | 71 Mqc |
| Totale | 71 Mqc | |
